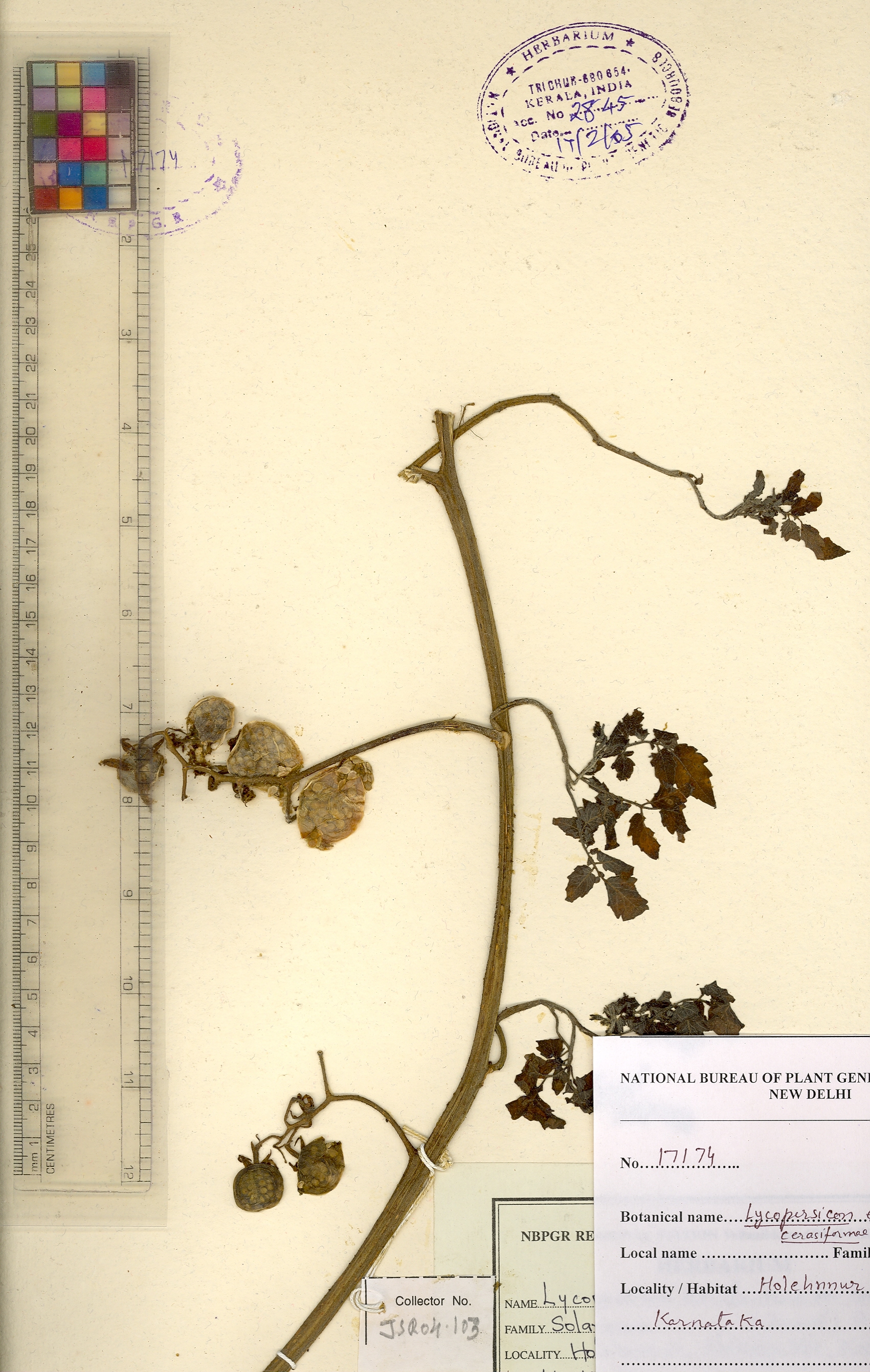
Herbarium Details :

Botanical Name Family National Identity Date of Collection HS Number
Solanum lycopersicum Solanaceae NA HS17174

Zoom this image to see full herbarium details